family CERAMBYCIDAE Latreille, 1802
subfamily CERAMBYCINAE Latreille, 1802
tribe Stenopterini Gistel, 1848
genus Stenopterus Illiger, 1804
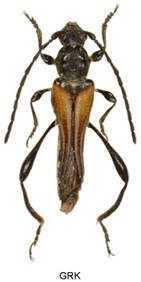
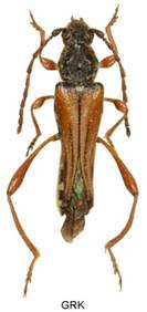
Stenopterus rufus rufus (Linnaeus, 1767)

Velikost 7-17 mm.
Bionomie. Listnaté lesy nižších a středních poloh, okraje porostů, lesostepi, zahrady. Vývoj larev v odumřelém, suchém, dosud stojícím dřevě listnatých dřevin. Dřevo v době výletu imág může být již i zbavené kůry. Podle Demelta také v odumřelých větvích i spadlých na zem. - Imága se vyskytují od V. do VIII. Vysoký (1984) uvádí výskyt imág na květech ještě v X.-XI., poslední kus 15.11.1982. Na různých květech, zejména Apiaceae, Asteraceae aj.
Živné rostliny - Quercus (Francie); Juglans, Paliurus spina-christi, Carpinus, Prunus, Salix, Castanea, Ostrya, Robinia, Pistacia, Ficus aj.
Variabilita. Variabilní je černé zbarvení stehen.
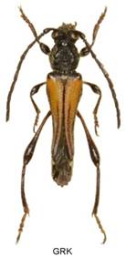
Stenopterus flavicornis Küster, 1846


Velikost 10-15 mm.
Bionomie. Okolí původních dubových porostů, lesostepi. Podle literatury a sdělení entomologů probíhá vývoj larev v odumřelém dřevě listnatých stromů. Bližší podrobnosti mi nejsou známy. - Imága se vyskytují v VI. - VIII., maximum od druhé poloviny VI. do prvé dekády VII. (poslední nález - Znojmo 22.8.1991, Škorpík lgt.). Za slunných dnů na různých květech, zejména Apiaceae, Asteraceae aj.
Živné rostliny – Byl vypěstován z větve Ulmus; z Quercus spolu s Isotomus; Celtis australis; Gleditsia.
Stenopterus creticus Sama, 1995





Stenopterus atricornis Pic, 1891


Stenopterus mauritanicus P. H.Lucas, 1849

Stenopterus kraatzi Pic, 1892

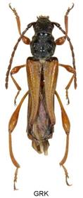
Stenopterus ater (Linnaeus, 1767)








Velikost 6-15 mm.
Bionomie. Vývoj v čerstvě odumřelém i zcela starém, již trouchnivějícím dřevě. Napadené dřevo Punica mělo po vykladení vajíček ještě uvadající listy, kdežto dřevo Ceratonia bylo již více let odumřelé, poškozené hnilobou a dospělé larvy tam byly společně s dospělými larvami Purpuricenus desfontainei (F.). Dřevo Quercus bylo odumřelé po požáru asi 3 roky a bylo též silně poškozené hnilobou. Žír larev probíhá částečně pod kůrou, převážně pak ve dřevě větví a slabších kmínků o průměru 2-10 cm (Ceratonia cca 20 cm). Při silnějším napadení larvy dřevo téměř rozežerou. Vývoj nejméně dvouletý. - Imága byla u nás nalezena v VI. - VII. Vyskytují se za slunečného počasí na celé řadě různých květů, na Slovensku jsme imaga chytili na Apiaceae.
Živné rostliny - Vychoval jsem imaga ze dřeva Ficus carica (Tunis), Punica granatum, Ceratonia siliqua (Tunis, Alžír), Prunus (Alžír), Quercus (Španělsko) a mně neznámých křovin (Alžír, Maroko). Uvádí se též Ostrya, Carpinus, Ulmus, Robinia, Acacia.
Variabilita. V jižních zemích velmi variabilní druh. Barva krovek může být žlutohnědá, černá, nebo krovky mohou být různě černě zbarveny. Nohy mohou být celé černé, nebo částečně žlutohnědé až celé žlutohnědé.
Stenopterus ater Linnaeus, 1767 ALG Punica



